Σε φάση δημοπράτησης το Ανοιχτό Κέντρο Εμπορίου «Open Mall»
Όλα δείχνουν πως η Άρτα μπαίνει σε μια τροχιά θετικών αλλαγών αισθητικής και λειτουργικής αναβάθμισης του κέντρου της πόλης, μετά την δημοπράτηση του Ανοιχτού Κέντρου Εμπορίου «Open Mall».
Έτσι, ο Δήμος Αρταίων ανακοινώνει πως το έργο βρίσκεται πλέον με ανοικτή διαδικασία δημοπράτησης για την επιλογή αναδόχου. Επόμενο βήμα, είναι η έναρξη των εργασιών.
Πρόκειται για παρεμβάσεις που αφενός μεν στοχεύουν στην εμπορική και οικονομική αναβάθμιση της πόλης, αφετέρου δε, στην προσέλκυση αγοραστικού κοινού από όλο τον Νομό αλλά και ευρύτερα.
Για την εξέλιξη αυτή, ο Δήμαρχος Αρταίων σημειώνει: «Τα μεγάλα έργα χρειάζονται ικανό διάστημα για να μπουν σε τροχιά υλοποίησης, αλλά όταν αυτό συμβεί τότε δικαιολογούν πλήρως τον τίτλο τους ως «μεγάλα έργα». Το Open Mall είναι σίγουρα ένα από αυτά και σήμερα με την ανακοίνωση της φάσης δημοπράτησης, είμαστε ένα βήμα πριν από την έναρξη των εργασιών. Είναι ένα ακόμη κομμάτι από το παζλ ανάπτυξης της Άρτας που βάζουμε στην θέση του».
Σημειώνεται, πως η ανάπλαση όλου του εμπορικού κέντρου της πόλης μας είναι από τα ελάχιστα που θα διαθέτει η Ήπειρος. Πολύ σημαντικό είναι βέβαια το γεγονός, πως υπάρχει ήδη εξασφαλισμένη χρηματοδότηση από το ΕΣΠΑ. Ειδικότερα, ο Δήμος Αρταίων χρηματοδοτείται από το ΕΣΠΑ με 1,5 εκ. € και ο Εμπορικός Σύλλογος με 400.000 €. Σημαντικό είναι και το ποσό που θα δαπανήσει από δημοτικούς πόρους ο ίδιος ο Δήμος, αφού ανέρχεται σε 450.000 €.
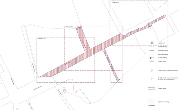
Όπως είναι ήδη γνωστό, η περιοχή παρέμβασης έχει συνολική έκταση περίπου 23.834 τ.μ. με κεντρικό της άξονα την οδό Σκουφά (Μονοπλιό μέχρι Αγ. Γεώργιο). Επιπλέον, παρεμβάσεις θα γίνουν και στις οδούς Κωστή Παλαμά και Τορέλα.
Οι προσφορές υποβάλλονται ηλεκτρονικά μέχρι την Δευτέρα, 10 Οκτωβρίου Σεπτεμβρίου 2022. Περισσότερες πληροφορίες και τυχόν διευκρινήσεις, παρέχονται στην ηλεκτρονική σελίδα https://www.arta.gr, στην κατηγορία Επικαιρότητα – Προκηρύξεις.
Υπενθυμίζεται πως το επόμενο διάστημα μπαίνει σε τροχιά δημοπράτησης και το μεγάλο έργο των 9.000.000 ευρώ από το Ταμείο Ανάκαμψης, που αφορά όλο το εμπορικό κέντρο της πόλης της Άρτας.









